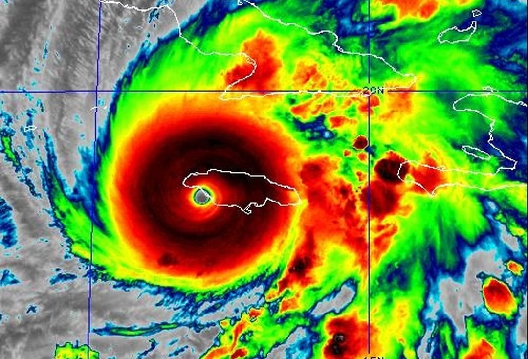
Olho do furacão Melissa prestes a tocar o solo na Jamaica em 28 de outubro de 2025.
Divulgação/Centro Nacional de Furacões dos EUA
A brasileira Marianna Versiani, de 31 anos, que está em Cuba para uma pesquisa de mestrado desde o começo do mês, contou ao g1 que a população da capital, Havana, já se mobiliza para ajudar os moradores das províncias do Leste, que devem ser atingidas pelo furacão Melissa ainda na noite desta terça-feira (28).
“Vi muitas pessoas comentando que estão se organizando em comitês de solidariedade para ir a Santiago de Cuba quando passar o furacão e ajudar na reconstrução da cidade, das casas e na limpeza, se for necessário. Ainda não vi nenhuma mobilização de estocagem de alimentos e roupas, mas creio que haverá uma mobilização nesse sentido”, afirmou.
“Eu estou em Havana, que não é rota do furacão, e não existe uma preocupação de risco de vida para as pessoas que estão aqui. Mas o assunto está sendo comentado todo o tempo, em todo lugar. Primeiro pela gravidade da imensidão que é esse fenômeno natural, algo extraordinário que vai gerar catástrofes imensas e que supera as previsões que se espera para outubro”, ressaltou.
O Melissa, que chegou à categoria 5 e tocou o solo na Jamaica às 14h, no horário de Brasília, desta terça-feira (28), também deve tocar o solo no Leste de Cuba como um furacão poderoso. Após passar por Cuba, ele deve atingir o Sudeste das Bahamas até a noite de quarta (29).
Milhares de pessoas das províncias de Granma, Santiago de Cuba, Guantánamo e Holguín, para onde há um alerta de furacão em vigor, foram retiradas das casas devido ao alto risco, segundo a mídia local.
LEIA TAMBÉM:
AO VIVO: Furacão Melissa cai para categoria 4 após chegar à Jamaica
O que é um furacão de categoria 5? Entenda como é medida a intensidade
Autoridades cubanas disseram estar retirando mais de 600 mil pessoas da região, incluindo Santiago, a segunda maior cidade da ilha. O transporte público no Leste de Cuba foi suspenso, incluindo serviços ferroviários, ônibus e voos.
A brasileira ainda ressalta que população acompanha com atenção cada atualização sobre o fenômeno.
“O governo sempre passa muita informação sobre a situação climatológica do país, e as pessoas são muito envolvidas porque têm muita profundidade nesse conhecimento científico. Elas não desacreditam. Acreditam que existe mesmo uma mudança climática”, afirma.
Marianna explica que, como Havana não está diretamente na rota do furacão, as atividades seguem funcionando normalmente por enquanto. No entanto, a população já se mobiliza caso haja chuvas fortes ou enchentes.
“Certamente as pessoas vão se organizar para não sair, porque todas estão acompanhando atentamente a situação”, diz.
E complementa: “A televisão transmite constantemente notícias sobre o furacão, com dados sobre o tamanho e a trajetória. Além disso, há envio de mensagens por SMS com informes em tempo real, e os jornais trazem atualizações sobre a preparação. É uma quantidade muito grande de informação vinda de fontes de confiança, como o governo e os cientistas”.
Marianna Versiani, de 31 anos
Arquivo Pessoal
‘Todos apreensivos’
O brasileiro Thomaz Farias, fundador da agência de viagens Dicas Cuba, também relatou ao g1 que fez contato nesta terça-feira (28) com famílias cubanas que moram em Santiago de Cuba e todos estão preocupados.
“Estão todos apreensivos com o furacão Melissa. A região de Havana e Varadero estão tranquilas. O problema é o oriente da ilha. A orientação do Ministério do Turismo para as agências, como Dicas Cuba, é não mover para o oriente, e estão evacuando todos os turistas e moradores da regiões que estão na trajetória do furacão.”
Olho do furacão Melissa totalmente sob o território da Jamaica, em 28 de outubro de 2025
National Hurricane Center/NOAA/Divulgação
Ainda conforme Thomaz, a agência tem um grupo que irá a Santiago de Cuba em novembro, mas que a viagem pode ser suspensa dependendo das consequências do furacão.
“Dependendo do que acontecer, teremos que reorganizar o roteiro, pois não se sabe quais as consequências do furacão em Santiago de Cuba. Ano passado eu estava em Cuba quando passou o furacão Rafael, categoria 3. Passou em Artemisa, a oeste de Havana. Este, estima-se que passe em Cuba na região de Santiago e Guantánamo, mas muito mais forte, categoria 5”, afirmou.
Furacão Melissa
Furacão Melissa ameaça Jamaica com ventos ‘catastróficos’ de quase 300 km/h
Com ventos de 295 km/h, chamados de “catastróficos” por meteorologistas, e pressão interna de 892 mb, a terceira maior já registrada, o Melissa chegou à Jamaica pelo noroeste do país.
“Melissa atinge o sudoeste da Jamaica, perto de New Hope, como um poderoso furacão de categoria 5”, confirmou o Centro Nacional de Furacões (NHC, na sigla em inglês) dos Estados Unidos às 14h do horário de Brasília.
Em seus últimos posts nas redes sociais, antes de confirmar a chegada do furacão, o NHC fez fortes alertas para a população buscar abrigo.
“Ventos catastróficos, inundações repentinas e marés de tempestade estão ocorrendo na ilha. Esta é uma situação extremamente perigosa e com risco de vida! Proteja-se agora”.
Três pessoas já morreram no país por conta de tempestades prévias à chegada do furacão. Segundo a Cruz Vermelha, a passagem do Melissa na Jamaica terá um “impacto massivo” e afetará ao menos 1,5 milhão de pessoas, metade da população da ilha.
Brasileira na Jamaica narra tensão em hotel antes da passagem do Furacão Melissa
Divulgação/Centro Nacional de Furacões dos EUA
A brasileira Marianna Versiani, de 31 anos, que está em Cuba para uma pesquisa de mestrado desde o começo do mês, contou ao g1 que a população da capital, Havana, já se mobiliza para ajudar os moradores das províncias do Leste, que devem ser atingidas pelo furacão Melissa ainda na noite desta terça-feira (28).
“Vi muitas pessoas comentando que estão se organizando em comitês de solidariedade para ir a Santiago de Cuba quando passar o furacão e ajudar na reconstrução da cidade, das casas e na limpeza, se for necessário. Ainda não vi nenhuma mobilização de estocagem de alimentos e roupas, mas creio que haverá uma mobilização nesse sentido”, afirmou.
“Eu estou em Havana, que não é rota do furacão, e não existe uma preocupação de risco de vida para as pessoas que estão aqui. Mas o assunto está sendo comentado todo o tempo, em todo lugar. Primeiro pela gravidade da imensidão que é esse fenômeno natural, algo extraordinário que vai gerar catástrofes imensas e que supera as previsões que se espera para outubro”, ressaltou.
O Melissa, que chegou à categoria 5 e tocou o solo na Jamaica às 14h, no horário de Brasília, desta terça-feira (28), também deve tocar o solo no Leste de Cuba como um furacão poderoso. Após passar por Cuba, ele deve atingir o Sudeste das Bahamas até a noite de quarta (29).
Milhares de pessoas das províncias de Granma, Santiago de Cuba, Guantánamo e Holguín, para onde há um alerta de furacão em vigor, foram retiradas das casas devido ao alto risco, segundo a mídia local.
LEIA TAMBÉM:
AO VIVO: Furacão Melissa cai para categoria 4 após chegar à Jamaica
O que é um furacão de categoria 5? Entenda como é medida a intensidade
Autoridades cubanas disseram estar retirando mais de 600 mil pessoas da região, incluindo Santiago, a segunda maior cidade da ilha. O transporte público no Leste de Cuba foi suspenso, incluindo serviços ferroviários, ônibus e voos.
A brasileira ainda ressalta que população acompanha com atenção cada atualização sobre o fenômeno.
“O governo sempre passa muita informação sobre a situação climatológica do país, e as pessoas são muito envolvidas porque têm muita profundidade nesse conhecimento científico. Elas não desacreditam. Acreditam que existe mesmo uma mudança climática”, afirma.
Marianna explica que, como Havana não está diretamente na rota do furacão, as atividades seguem funcionando normalmente por enquanto. No entanto, a população já se mobiliza caso haja chuvas fortes ou enchentes.
“Certamente as pessoas vão se organizar para não sair, porque todas estão acompanhando atentamente a situação”, diz.
E complementa: “A televisão transmite constantemente notícias sobre o furacão, com dados sobre o tamanho e a trajetória. Além disso, há envio de mensagens por SMS com informes em tempo real, e os jornais trazem atualizações sobre a preparação. É uma quantidade muito grande de informação vinda de fontes de confiança, como o governo e os cientistas”.
Marianna Versiani, de 31 anos
Arquivo Pessoal
‘Todos apreensivos’
O brasileiro Thomaz Farias, fundador da agência de viagens Dicas Cuba, também relatou ao g1 que fez contato nesta terça-feira (28) com famílias cubanas que moram em Santiago de Cuba e todos estão preocupados.
“Estão todos apreensivos com o furacão Melissa. A região de Havana e Varadero estão tranquilas. O problema é o oriente da ilha. A orientação do Ministério do Turismo para as agências, como Dicas Cuba, é não mover para o oriente, e estão evacuando todos os turistas e moradores da regiões que estão na trajetória do furacão.”
Olho do furacão Melissa totalmente sob o território da Jamaica, em 28 de outubro de 2025
National Hurricane Center/NOAA/Divulgação
Ainda conforme Thomaz, a agência tem um grupo que irá a Santiago de Cuba em novembro, mas que a viagem pode ser suspensa dependendo das consequências do furacão.
“Dependendo do que acontecer, teremos que reorganizar o roteiro, pois não se sabe quais as consequências do furacão em Santiago de Cuba. Ano passado eu estava em Cuba quando passou o furacão Rafael, categoria 3. Passou em Artemisa, a oeste de Havana. Este, estima-se que passe em Cuba na região de Santiago e Guantánamo, mas muito mais forte, categoria 5”, afirmou.
Furacão Melissa
Furacão Melissa ameaça Jamaica com ventos ‘catastróficos’ de quase 300 km/h
Com ventos de 295 km/h, chamados de “catastróficos” por meteorologistas, e pressão interna de 892 mb, a terceira maior já registrada, o Melissa chegou à Jamaica pelo noroeste do país.
“Melissa atinge o sudoeste da Jamaica, perto de New Hope, como um poderoso furacão de categoria 5”, confirmou o Centro Nacional de Furacões (NHC, na sigla em inglês) dos Estados Unidos às 14h do horário de Brasília.
Em seus últimos posts nas redes sociais, antes de confirmar a chegada do furacão, o NHC fez fortes alertas para a população buscar abrigo.
“Ventos catastróficos, inundações repentinas e marés de tempestade estão ocorrendo na ilha. Esta é uma situação extremamente perigosa e com risco de vida! Proteja-se agora”.
Três pessoas já morreram no país por conta de tempestades prévias à chegada do furacão. Segundo a Cruz Vermelha, a passagem do Melissa na Jamaica terá um “impacto massivo” e afetará ao menos 1,5 milhão de pessoas, metade da população da ilha.
Brasileira na Jamaica narra tensão em hotel antes da passagem do Furacão Melissa
